Propiedad 57310 Zygi, Larnaca / 48627

Parcela residencial elevada con impresionantes vistas al campo.

Precio 146,100
Hipoteca estimada 503 /mes
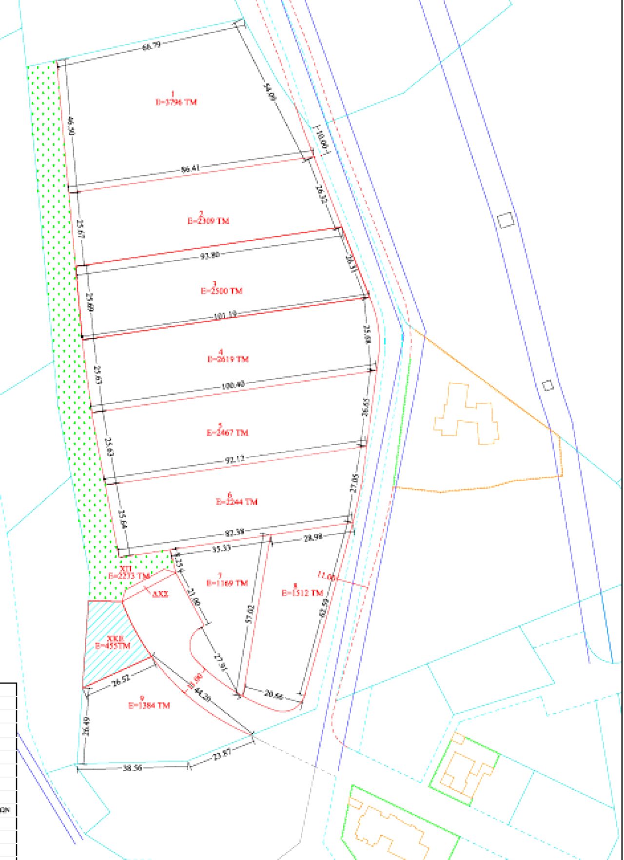
Datos clave 1,169 m²

Resumen

Comunidad Zygi
Distrito Larnaca
Tipo de propiedad Terreno Residencial
Sup. parcela 1,169 m²
Referencia 48627

Descripción de la propiedad

Ubicada en un entorno rural tranquilo, esta propiedad única ofrece accesibilidad práctica a Limassol y Larnaca, lo que la hace ideal tanto para residencia permanente como para casa de vacaciones. La planificación de baja densidad garantiza privacidad a largo plazo y un paisaje abierto, mientras que las dimensiones de la parcela y los parámetros de construcción permiten opciones de desarrollo versátiles.

Aspectos destacados

Los aspectos destacados aparecerán aquí cuando haya datos de características disponibles.

Sostenibilidad / Energía

Calificación energética Datos energéticos pendientes

Ubicación

Todavía no hay datos de mapa disponibles para esta propiedad.

Cerca de la propiedad

Aeropuertos cerca de la propiedad

No hay lugares cercanos disponibles en esta categoría.

Playas cerca de la propiedad

No hay lugares cercanos disponibles en esta categoría.

Educación

No hay lugares cercanos disponibles en esta categoría.

Bodegas

No hay lugares cercanos disponibles en esta categoría.

Cómo moverse por Zygi

No hay lugares cercanos disponibles en esta categoría.