拉脱维亚 出售房源

235 套房源

清除
2 天前

住宅用地出售

拉脱维亚

价格 215,000

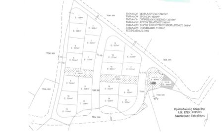
拉西亚市的特殊地块,面积约713平方米,多功能区域,适用于住宅或混合用途开发。

713 m²
1 天前

住宅用地出售

拉脱维亚

价格 235,000

Latsia的一块优质地块,面积为651平方米,密度为90%,覆盖率为50%,允许建2层。

651 m²